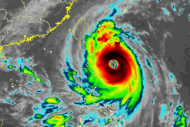
据中央气象台消息,今年第21号台风“康妮”,已于10月30日早晨由强台风级加强为超强台风级,预计将于10月31日白天在台湾岛东部沿海登陆。受冷空气和“康妮”的共同影响,台湾海峡、福建沿海等地将有大风天气。

30日20时至31日20时,浙江东部、福建东北部等地部分地区有大到暴雨,台湾岛大部有暴雨或大暴雨,其中台湾岛东部部分地区有特大暴雨(250-900毫米)。
受“康妮”和冷空气共同影响,未来数天,东南沿海以及东海等区域将出现大风天气,阵风风速也同期少见。广东省防汛防旱防风总指挥部已于昨日启动防风Ⅳ级应急响应。
秋台风中的“狠角色”
“康妮”或刷新多项纪录
据中国天气网首席气象分析师@weatherman_信欣介绍 :
①如果“康妮”登陆台湾时还是超强台风级,将打破1949年以来10月登陆台湾最强台风纪录,也是最晚登陆台湾的超强台风。
②如果后期登陆福建或浙江,将是1949以来首次在11月有台风登陆福建或浙江,并创造台风登陆福建、浙江的最晚纪录。
③此外,台湾、福建、浙江、上海都可能出现极强台风雨,局地或刷新单日降水纪录。
气象专家分析,“康妮”之所以不断壮大,并步步逼近我国陆地,全凭“运气”,一方面,冷空气刚好处于空档期,副热带高压又刚好见缝插针地增强,而“康妮”又刚好这个时间点卡点生成,这些“刚好”造就了康妮有了靠近并登陆我国的机会。

汕头广场轮渡停航
部分旅客列车停运
为确保旅客列车运行安全,受台风“康妮”影响,汕头站将对汕头部分始发和终到列车采取停运措施。截至10月30日18时,计划调整停运列车信息如下:
10月31日,汕头至深圳北的D7430次停运;
10月31日,汕头至广州东的D7122、D7126次停运;
10月31日,深圳北至汕头的D7177次停运;
10月31日,广州东至汕头的D7141次、D7125次停运。
据介绍,下一步,铁路部门将密切关注台风路径变化,根据风速雨量和灾害影响程度等实际,适时采取停运、加开、恢复开行等措施,动态调整列车开行方案,确保旅客安全出行需要。具体列车开行信息请关注车站公告或致电铁路12306客服热线查询,以便妥善安排行程。
已购买停运列车车票的旅客,可于票面乘车之日起30日内(含当日)在12306网站(含手机App)办理退票手续,或持购票时所使用的有效身份证件原件到车站退票(已打印报销凭证的请将凭证交予车站窗口工作人员),以上均不收取退票费。
此外,记者从汕头海事部门获悉,受今年第21号台风“康妮”影响,汕头广场轮渡客渡船已于31日6时20分起停运,具体复运时间另行通知。
上海紧急提醒
可适量储备饮用水和食物
受“康妮”外围环流和冷空气共同影响,10月31日下午起上海市将出现阵雨天气,傍晚开始雨势增强,强降水将持续到2日凌晨,降水集中时段出现在31日半夜至11月1日白天。过程累积雨量大暴雨(120~180毫米),上海市东南部地区雨量更显著(局部可达220~280毫米),可能成为上海市1981年以来11月最大降水过程。
31日夜里起上海市风力逐渐增大,11月1日最大陆地阵风8~9级,高层建筑及沿江沿海地区阵风9~10级,洋山港区阵风10~11级,2日下午风力逐渐减弱。

上海气象部门提醒:
1、台风影响前可适量储备饮用水和食物,台风影响期间尽量减少外出。
2、防范大风,妥善收起室外物品,防止高空坠物。不要在临时建筑物附近躲避风雨,车辆停靠远离大树等。
3、此次过程具有极端性,强降水可能造成局部积水,如在户外注意不要轻易涉水。“康妮”影响期间正值天文大潮期,注意提防风暴增水影响,低洼处需注意防范。
4、此次过程对交通有较大影响,注意及时了解出行信息和预报预警信息。
全台湾将停班停课
股市暂停交易
据券商中国报道,10月30日晚间,中国台湾证券交易所宣布,因台风“康妮”影响,台湾证券交易所及其市场将于2024年10月31日暂停交易。
这将是自2015年以来该交易所首次因台风在一年内暂停交易三次。本月早些时候的“山陀儿”台风和今年7月的“格美”台风都导致台湾股市暂停交易。
此外,10月31日,台湾地区将全部停班停课,台铁东部干线全线停驶,西部干线视情况午后停驶,高铁则调整运营模式,部分线路将减少发车班次。
气象部门预计,随着台风接近,30日台湾北部和东半部雨势逐渐加剧,30日晚至31日上午大台北山区、宜兰花莲山区会有暴雨或以上的降雨;31日白天至11月1日清晨各地降雨明显,东半部雨势达暴雨以上,北部、南部地区、中部山区也有局部暴雨,而31日晚至11月1日清晨中部平地也会有大雨发生。
(羊城晚报·羊城派综合羊城晚报、每日经济新闻、澎湃新闻、券商中国、东方网、中国新闻网等)