
□ 李灶新
壹
广州,秦汉时期称“番禺”,为南海郡治,亦是西汉南越国的都城。东汉时属交州,三国黄武五年(226年),孙权以交州面积太大不好管理,于是“分交州置广州”,广州由此得名。后又废,复交州。永安七年(264年)复分交州置广州,广州之名一直沿用至今不改。
晋、南朝时期,广州一直是州(梁、陈两朝为都督府)、南海郡的治所。隋时广州为总管府、南海郡治。唐时广州为都督府(总管府)和岭南东道及岭南节度使府的治地。从晋至唐,广州城的规模不大,也未进行过大的扩展。到唐末天祐三年(906年),清海军节度使刘隐“以南城尚隘,凿平禺山以益之”,把广州城向南扩展,号新南城。后刘氏称帝,广州作为南汉都城兴王府的所在地。
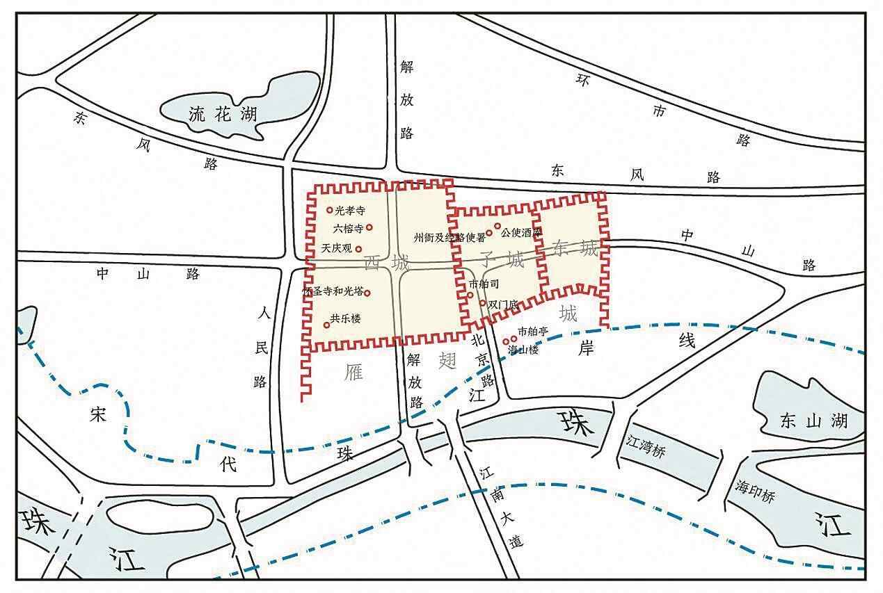
至宋代,广州城建进入历史上最为重要的发展阶段,广州城的范围空前扩大,在唐代子城的基础上重修子城(中城),然后又在子城之东修建东城,在子城之西修筑西城,谓之宋代广州三城。明洪武十三年(1380年),永嘉侯朱亮祖“以旧城低隘,上请乃连三城为一”,并把广州城进一步向外扩展,从此,宋代广州三城旧址湮废。
如今,广州老城区中心已是高楼林立,关于宋代广州城的具体地理位置和城市布局等已难逐一考证。过去,研究广州历史地理的徐俊鸣、曾昭璇等专家学者曾根据文献史料,就宋代广州城的方位、范围勾勒出一个大致轮廓;自20世纪70年代以来,在配合广州城市建设中,不断有关于宋代广州三城遗迹的考古发现,具有重要研究价值。
2024年12月27日,广州市文物考古研究院在位于越秀区中山五路南侧、教育路东侧的“小马站-流水井”古城遗址公布最新考古发掘成果。此次发掘面积共2400平方米,现存堆积从汉代一直持续至晚清民国时期。在发掘区域东部揭露出东汉晚期、东晋、南朝及唐代广州城西城墙的一段及其附属设施。结合历史文献和东汉墙体下更早时期的柱洞、灰坑等遗迹,东汉城墙应是交州刺史步骘于建安十五年(210年)在南越国时期建筑基础上重建番禺城时修筑的。据此,我们可基本确定,从汉至唐,广州城的西城墙其重要一段,位置均在于此。
广州,我国第一批24个历史文化名城之一,拥有超过两千年建城史,其城市形态演变特别是城墙的变化发展,一直是城市考古研究的重点。自南越国至明清时期,考古发现逐渐勾勒出广州古城的衍生轮廓,而城市中心始终位于今天的北京路一带,这一现象在世界城市建设史上极为罕见。值得重点提出的一个问题是,自汉代以来格局基本无改的“广州城”,何以在宋代开始大规模扩建东城和西城?此变局与历史人物侬智高密切相关。北宋皇佑四年(1052年),傥犹州(今广西靖西)少数民族首领侬智高因受交趾国欺压,多次请求归附宋朝得不到接纳而举兵反宋,在攻占邕州后,沿西江一路东下,直逼广州城下,虽未攻陷,却使城西繁华蕃坊商业区遭受重创。由于广州是宋朝最早设市舶司管理海外贸易的城市,也是宋朝财税收入的重要来源地,朝廷与民间均意识到筑城护商之重要性,为保境安民,广州城开启了大规模扩建之路。
欲深入了解广州城墙变迁,从相关历史人物入手,是一种关键而生动的视角。

贰
任嚣,或主持修建了最初的番禺城,又称“任嚣城”。广州建城史,至少可追溯至公元前214年,秦定岭南,南海郡尉任嚣主持修建城垣,此乃广州建城之肇始。公元前207年,秦亡。公元前203年,赵佗拥旄岭南,建南越国。目前未发现确切的秦番禺城墙,但在广州市中心的南越国宫署遗址最下层却发现有秦代的水井和用木石构筑的护岸,以及云纹瓦当建筑构件等,可以得知南越国都城是在秦代番禺城的基础上建成的。南越国番禺城的南城墙或仅见于西湖路光明广场南越国木构水闸遗址的一部分。北城墙则应在今天越华路南侧,因2006年在此发现了南越国宫城的北城墙。
步骘,或是较早可知的建城之人。建安十五年,东吴孙权任命步骘为交州刺史。当他来南海郡,站在赵佗王宫旧址之上远望,观番禺形势“负山带海,博敞渺目,高则桑土,下则沃衍”,不由感叹“斯诚海岛膏腴之地,宜为都邑”,于是请准于孙权,把交州治所从广信(今广东封开)迁到番禺。建安二十二年(217年),“迁州番禺,筑立城郭”。
唐朝时“州城三重”盛境,则由鉴真和尚所目睹。《唐大和上东征传》有曰:“端州太守迎引送至广州,卢都督率诸道俗出迎城外……州城三重,都督执六纛,一纛一军,威严不异于天子;紫绯满城,邑居逼侧。”鉴真和尚应是从如今天字码头登岸,往北穿过三道城门而得见“三重”城景,即由南往北依次为罗城(又称外郭城)、子城及位于子城靠北处的牙城。胡三省在《资治通鉴注》“元和十四年(819)”条就曾解释:“凡大城谓之罗城,小城谓之子城。又有第三重城以卫节度使居宅,谓之牙城。”
唐至五代,蕃坊盛炽,海丝复兴。而在朝代更迭与风云变幻中,广州城墙始终未历大规模重修。直至北宋庆历四年(1044年),官方才终于“松口”,批准广州修筑一座子城,以护卫府衙和官署附属建筑。“知曹州任中师请修广州子城,仍请置巡海军两指挥,从之。景祐间,中师尝知广州,以州独有子城而废久不修,恐缓急无以御盗。于是,太常少卿魏瓘实知广州,遂城之,环五里。”
魏瓘修城可谓及时。因子城竣工后不久,便迎来侬智高的进攻。他听说广州没有城墙,且生活富庶、商户云集——“可以鼓行剽掠,遂自邕州浮江而下,数日抵广州”,“城外蕃汉数万家悉为贼席卷而去”。动乱虽最终平息,子城未被攻破,但广州城西“百年生聚,异域珍玩,扫地无遗矣”。这一事件促使朝廷下定决心,修筑东城与西城。
叁
宋代广州三城的地理位置何在?据文献记载,宋代广州子城是在晚唐五代广州城的基础上重修而成。2000年在西湖路惠新西街和龙藏街之间发掘的唐代城墙基址,呈南北走向,应为唐末刘岩扩建新南城时修筑的广州城的西城墙,亦即宋代广州子城的西城墙。2024年“小马站-流水井”古城遗址公布的最新考古发掘成果也显示,该区域东部应亦为从汉代至唐广州城的西城墙、宋代广州子城的西城墙。《海录碎事》云:“药洲,在广州朝天门外。南汉氏于兹种药。”可见药洲位于宋代子城西门外,是南汉时开凿而成的。药洲在今教育路南方剧院北侧仍有遗迹保留。从文献记载可知,现吉祥路和教育路一带在南汉时分别为玉液池和药洲,是一片较为宽阔的园林水面,到宋代时,这一带仍然是公共园林水面。宋代广州子城的西城墙就在这一片水域的东侧,即今天吉祥路东侧的华宁里一线。
子城的东界就在今天的旧仓巷西侧。2002年,在大塘街东侧的鸿晖大厦建设工地考古发掘出一段宋代南北向的河堤遗址。2005年在中山四路和旧仓巷交汇处西侧的广州城投集团附楼建筑工地又考古发现了一段南北走向的汉代至宋代重叠的城墙基址。结合文献资料记载以及现存地形地貌综合考察,今旧仓巷、大塘街西侧一带就是宋代广州子城东城墙所在,其东侧则是子城东门外的清水濠的所在位置。
1996年在越华路银山大厦和1998年在银山大厦西侧发现的宋代东西向城墙基址,为确定宋代子城的北界提供一个准确的地理坐标。这两次发现的宋代城墙均位于唐代广州城东城墙之东,横跨宋代清水濠之上而建,可知这两段城墙应是宋代广州东城的北城墙。据文献资料记载,宋代广州东城与子城是连合为一的,子城和东城的北城墙是连成一直线,因此,子城的北界亦即东城的北界,其位置在今越华路南侧。
子城的南界,由于到目前为止尚没有经考古发掘的城墙遗址发现,只能根据文献记载作推测。2002年在北京路广州百货大厦东门前发现宋代、明代和清代的古门楼建筑基址,发掘者根据考古发掘的情况,考诸文献认为其为唐宋以来广州城内著名的双门古楼遗迹。双门古楼源于唐末刘隐凿平番、禺二山,叠石而建的双阙,上为谯楼。随着宋代广州子城的南扩,改南汉双阙为双门,双门古楼成了子城内大都督府前的标志性建筑,由双门再往南才是子城的正南门——镇安门(后改为镇南门)。2000年在西湖路光明广场发现的唐代南北走向的城墙基址,向南至惠福东路尚未尽,证明宋代广州子城的南界应逾过今惠福东路,但向南不会逾过明代广州城南护城河——玉带濠。结合此前在文德北路富春东方广场工地考古发现东西走向的唐、五代城墙基址可推测,宋代子城的南界也就在今文明路、大南路一线的位置。
在此再略述此前对东城及西城四至的初步认识。东城的西界,根据郭棐《广东通志》记载:“(东城)西与子城行春门相接,是为东城合子城为一。”可知东城的西城墙即子城的东城墙。东城的北界如上述,亦即子城北界。东界或可推至今越秀北路一带,南界当在今天的文明路北侧一带。
西城的东界,从子城与东城合二为一的情况来看,西城的东城墙或即子城的西城墙。但根据《永乐大典》所附的广州府、南海县、番禺县图来看(因为图中的广州城尚未把北面的越秀山纳入城内,可知图中所绘的广州城墙应是以洪武十三年连三城为一之前的广州地形图为蓝本绘成,间接反映了宋元时期广州三城的基本布局),西城东城墙要比子城的北面向北伸出一段。此外,2000年在府前路北面,解放北路和连新路之间的恒鑫御园工地进行考古勘探和试掘得知:该区域在汉晋至唐时期尚为少人居住的山岗河汊。而到宋代以后,原有的河汊地已被填埋垫高,并在上面建有建筑遗迹,这一现象与宋代西城要比子城向北扩宽的情况是有密切关系的。
1996和1998年,在中山七路与人民北路交界处发掘出明代西城门的瓮城遗址,可推测西城的西界应在其东侧附近,这有待今后考古发现证实。2007年,在广州市第一人民医院磐松楼南侧工地发掘出一段东西走向的宋至明代的城墙基址,可确定西城的西北界。至于其南界,到目前为止尚未有任何关于这方面的考古发掘报道,只能根据文献资料记载作一些推测。据曾昭璇先生研究,“南界即和玉带濠相当。……”这一推论应该是可信的。
(作者是南越王博物院副院长,研究馆员)