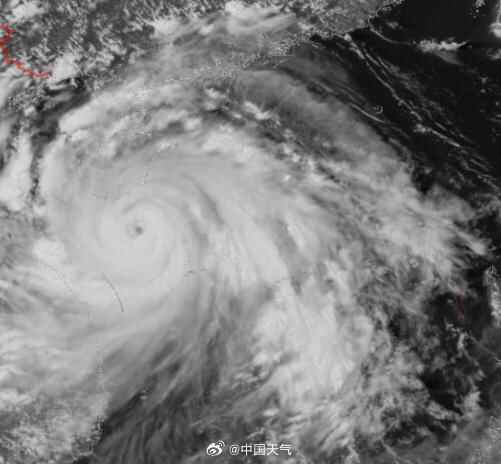
今年第13号台风“剑鱼”滚滚而来,昨天已“开眼”且云系紧实,在有利的大气、海洋环境支持下,“剑鱼”持续加强,一路升至强台风级!为此,中国气象局已启动台风三级应急响应,“华南F3(海南、广东、广西)”严阵以待。

台风“剑鱼”有多强?它让海南西沙出现特大暴雨,降雨量达到508.8毫米,打破8月单日降水量纪录,还顺便打破了单小时雨量的观测史纪录!可见此次台风过程海南风雨强度同期少见,甚至会破纪录。

海南省应急管理厅宣传培训处处长刘贡表示,这个台风的特点是速度非常快,而且不排除近岸还要加快。

中央气象台首席预报员向纯怡介绍,一般而言,气象意义上将9月至11月生成的台风划分为秋台风。今年第13号台风“剑鱼”生成在夏末初秋时节,但是其移动路径特征与夏季台风更为相似。这主要体现在受到副热带高压引导,“剑鱼”以偏西行路径为主。

对于秋台风而言,副高减弱东退南撤,引导系统更复杂,导致台风路径容易出现打转、转向等情况。
据中央气象台中期预报,台风“剑鱼”过后,未来10天,南海至西北太平洋可能还有1个台风生成,继续保持关注。
就在华南地区努力防风防雨之时,杭州默默地热成了全国第一。

据@中国天气首席气象分析师信欣 表示,杭州气温今年首次上40℃,创今年气温新高,也打破了当地最晚40℃高温日纪录。考虑湿度因素,体感更热,甚至超过44℃。本周重庆、湖北、湖南、安徽、江苏、上海、浙江一带热力十足,其中杭州、上海、南昌等城市高温将持续待机。

广东方面,预计25日白天雷州半岛有大雨局部暴雨伴有7~10级阵风,其余地区有分散雷雨,局部伴有7~9级短时大风;中北部的部分市县有35℃左右的高温天气。
具体预报:
25日,粤西沿海市县、江门市有中到大雨局部暴雨,其余市县有分散(雷)阵雨,最高气温:粤北市县32~35℃,南部沿海市县27~30℃,其余市县30~32℃。
26日,粤西、珠江三角洲南部及粤东沿海市县有(雷)阵雨,其余市县多云,局部有(雷)阵雨。最高气温:中北部市县32~35℃,其余市县28~31℃。
27日,广东大部市县多云,午后有分散(雷)阵雨,局部大雨或暴雨。最高气温:中北部市县33~36℃,其余市县29~32℃。


广州方面,本周雷雨频打卡,局地出没随机性大,强对流也来凑热闹!
具体预报:
25日,多云间阴天,有雷阵雨局部大雨,24℃到34℃;
26日,多云,有雷阵雨,25℃到34℃;
27日,多云,有雷阵雨,25℃到34℃。

台风来临前天上的云会有什么变化?预示着什么?一起来学习!
(资料来源:中国天气网、@广东天气、@广州天气、中国气象局)
文|记者 谢哲